Sold

Quality Central Subdivision

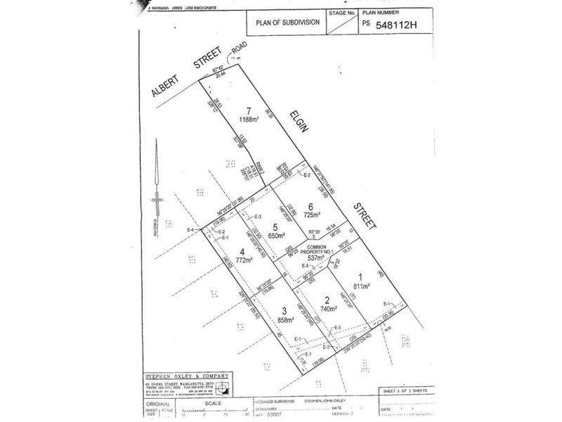
Lot 3, the largest allotment on offer in this quality subdivision offers plenty of room for a larger home and garden, located at the end of the Close provides extra privacy. Less than 400 metres from the Post Office it's very handy to the town centre. Flat land for reduced building costs and a lot easier to maintain. Reformill walking tracks and The Rail Trail are also heandy for the exercise conscious.
858 m2
Address Lot 3 Michelini Close, Myrtleford
Price SOLD
Property Type Residential
Property ID 327
Category Vacant Land
Land Area 858 m2

Agent Details

Bernard Ivone photo

Bernard Ivone

0428 522 572
View Profile