AUCTION

BEING OFFERED FOR SALE BY PUBLIC AUCTION ON 17 AUGUST 2019 due to unpaid council rates, under Section 713 - 715 of the Local Government Act 1993.

In default of payment to the Council for the outstanding rates and charges, or an arrangement satisfactory to the Council for payment of all such Rates and Charges being entered into by the ratable person, before close of business 14th August 2019, the said land will be offered for sale by Public Auction by Paull & Scollard Landmark.

AUCTION SATURDAY 17 AUGUST 2019

10.00AM AT URANA TOWN HALL, ANNA STREET, URANA

Persons interested in bidding are required to register and present valid photo identification such as Driver's Licence prior to the commencement of the Auction. Contracts are to be signed and payment of 10% deposit is required by cash or cheque, immediately after the sale of the lot.

Disclaimer: All care has been taken in compiling these particulars, but the vendor and their agents do not guarantee the details and cannot accept responsibility for errors or misdescriptions if any. Intending purchasers should satisfy themselves as to the correctness of details.

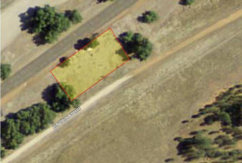
1,179 m2
Address 1 Kilpatrick St, Oaklands
Price SOLD
Property Type Residential
Property ID 1774
Category Vacant Land
Land Area 1,179 m2

Agent Details

Brian O'Shea photo

Brian O'Shea

0427 931 102
View Profile